Причины недостаточного питания
Необходимо помнить, что только внекорневой подкормки растениям недостаточно для нормального развития и роста, способность усвоения через корни намного выше. Только здоровые и нормально развитые растения смогут хорошо усвоить листовое удобрение.
Для того чтобы листовая подкормка в будущем была успешной, почву необходимо удобрять, внося калийное, фосфорное и азотное удобрение перед посевом. Использовать для улучшения почвы сидерат, например, запахивание под кукурузу вики обогащает почву азотом эквивалентным минеральному в количестве 100 –134 кг/га.
При неблагоприятных погодных условиях растение может голодать даже на хорошо удобренной земле. Из холодной почвы корневая система не в состоянии впитать и усвоить необходимые для роста элементы. Засуха или обильные дожди тоже могут быть причиной плохого усвоения корнями питательных элементов.

Поможет поддержать кукурузу во время активного вегетативного роста листовое удобрение. Оно является экономически обоснованным, так как повышает урожайность. Когда у кукурузы выросло пять или шесть листиков и до полного формирования растения проходит около трех недель. Чаще всего в это время вносят листовую подкормку.
Какое удобрение лучше вносить при посадке
Какое удобрение лучше вносить при посеве? Этим вопросом часто интересуются начинающие огородники.
Кукуруза не любит землю с высокой концентрацией минералов. Поэтому перед посадкой отдают предпочтение органическим веществам. Осенью или весной вносят компост: 0,5 ведра на 1 м².
Чтобы увеличить количество урожая, весной можно добавить в землю мочевину (100 г на 10 м²).
Для кукурузы на зерно
Подкормка кукурузы на зерно проводится несколько раз за сезон. При посадке зерна вносят только минеральные удобрения.
В первую очередь кукуруза нуждается в фосфоре. Суперфосфат вносят малыми дозами: 10 кг на 1 га на глубину 3 см.

Для столовой кукурузы
Первая корневая подкормка проводится после того, как появилось 5-6 листов. Лучше на этом этапе использовать комплексные удобрения с большим содержанием азота.
Второй раз кукурузу удобряют перед начальной фазой отрастания цветочной метелки. Можно использовать минеральные и органические удобрения (навоз, травяной настой).
Внекорневая подкормка в виде опрыскивания также применяется, когда у растения появляются 5-6 листов, вторая — спустя 10 суток. Опрыскивание можно произвести раствором сульфата магния. Опрыскивают растения не более 4 раз за период вегетации с интервалом 1-2 недели.
Подкормка кукурузы по месяцам
В июне производят подкормку удобрениями, содержащими азот, так как это время характеризуется активным ростом растения. Можно использовать нитрофоску, аммиачную воду.

В июле повторяют азотную подкормку кукурузы мочевиной. Дополнительно применяют корневая и внекорневая подкормка в зависимости от состояния растения.
На подкормку кукурузы в августе необходимо обратить особое внимание, так как в этом месяце початки созревают. Подкормка повлияет на вкус и сочность плодов. В этот период используют минеральные и органические удобрения
В этот период используют минеральные и органические удобрения.
Зачем нужны подкормки
Тем, кто впервые занялся выращиванием этой культуры на даче, стоит больше узнать об агротехнических приемах, сроках и способах применения удобрений для кукурузы. На протяжении всего периода вегетации и до сбора урожая растению требуется поддержка и обильное питание, поэтому предстоит регулярно вносить минералы и органику весной, летом и осенью. Количество подкормок и выбор удобрений зависят от качества грунта на участке, сорта кукурузы и климатических особенностей. В разных регионах объемы и сроки внесения подкормок различаются.
В каких питательных элементах нуждается культура?
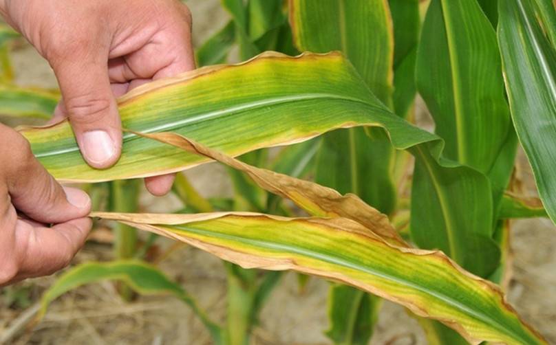
- Одним из важных элементов питания кукурузы является азот. Больше всего потребность в нем возникает на этапе формирования репродуктивных органов. При дефиците азота рост стеблей останавливается, и кукуруза желтеет.
- Фосфор нужен на этапе формирования корневой системы и цветения. Его дефицит замедляет развитие кукурузы.
- Цинк необходим, чтобы повысить стойкость растения к температурным перепадам. Нехватка этого элемента проявляется отсутствием завязей и желтыми полосами на листьях.
- Калий отвечает за распределение воды. Недостаток калия станет причиной полегания культуры и скручивания верхушек.
- Бор и медь стимулируют выработку аскорбиновой кислоты и сахаров. Без указанных элементов листья покрываются пятнами, а сахаристость зерна снижается.
- Марганец и магний существенно влияют на объем урожая.
Что нужно кукурузе для лучшего роста
Кукуруза — популярная культура, приносящая хороший урожай. Она теплолюбива и требовательная к температурному режиму, не любит кислых почв. Питательные вещества для роста нужны кукурузе не протяжении всего периода ее развития, вплоть до момента воскового созревания зерна.
Микроэлементы для кукурузы
Прежде чем удобрять кукурузу, важно понимать, в каких питательных веществах нуждается это растение:
![]() | Азот (N) Наибольшая потребность кукурузы в азоте приходится на период появления 6–8 листьев. Недостаток вещества проявляется в:
|
![]() | Калий (К) Сильнее всего в калии культура нуждается в период цветения. Компонент:
|
![]() | Фосфор (Р) Этот питательный элемент способствует:
|
![]() | Кальций (Са) Нехватка кальция в почве может привести к:
|
![]() | Цинк, бор, медь (Zn, В, Cu)
|
Количество удобрений рассчитывают, исходя из потребностей культуры в элементах питания и предполагаемой урожайности. Эти нормы приведены для участка 100х100 м. Если вам необходимы значения для 1 сотки (10х10 м), то просто разделите все значения на 10.
Нормы потребления микроэлементов на участок размером 100х100 м
Виды подкормок: 4 варианта
Подкормки для кукурузы делятся на два типа:
- органические;
- минеральные.
Наиболее популярный вариант органической подкормки — жидкий навоз. Для него вам потребуется:
- 50 л воды;
- 10 кг свежего коровяка.
Соедините компоненты и настаивайте 5 дней. При поливе кукурузы разводите каждые 2 л жидкого навоза 10 л воды.
Жидкий коровяк — самое востребованное органическое удобрение
Минеральные удобрения в свою очередь делятся на 3 группы: калийные, фосфорные, азотные:
![]() | Калийные и фосфорные Эти подкормки чаще всего используют в комплексе, фосфор помогает калию легче усваиваться растением. Среди фосфорных препаратов наибольшей популярностью пользуются:
Удобрения вносятся во время вегетации, на этапе 6–8 листьев.
Основная масса удобрений вносится ранней весной вместе с основными подкормками |
![]() | Азотные Азот в таких удобрениях может содержаться в амидной, аммонийной и нитратной формах.
|
Наиболее быстрым и эффективным способом передачи азота растению считается листовая подкормка карбамидом. Такая обработка улучшает проходимость нужных элементов сквозь лист. Ее проводят в безветренную погоду при температуре, не превышающей 20 градусов.
Для приготовления 4% раствора карбамида потребуется:
- 100 л воды;
- 4 кг карбамида.
При возникновении азотного голодания (пожелтении листовых пластин, тонких стеблях) вносят подкормку аммиачной селитрой
При нехватке азота также проводится внекорневая подкормка аммиачной селитрой. Раствор подготавливается из расчета 500 г селитры на 10 л воды.
Возможные трудности
Кукуруза, как и многие другие культуры, подвержена негативному воздействию вредителей и заболеваний. Наиболее опасен для кукурузы стеблевой мотылек. Насекомое представляет собой достаточно большую гусеницу желто-серого цвета – ее длина составляет 25 см. Зимует стеблевой мотылек в сорных растениях, а бабочки вылетают в начале лета
Яйца бабочки также откладывают на сорные растения, поэтому крайне важно регулярно их удалять
Гусеницы стеблевого мотылька питаются листьями, стеблями, метелками, початками и зерновками, приводя растения к повреждению растений и значительному снижению урожая.
Успешная борьба с этим вредителем заключается в грамотном проведении агротехнических мероприятий. Необходимо своевременно убирать кукурузу в фазе молочно-восковой спелости. А если посевы серьезно поражены этим вредителем, участок нужно обработать химическими препаратами – протравителями.
Хлопковая совка – еще один очень опасный вредитель кукурузы. Бабочки откладывают яйца на все части растения. Гусеницы повреждают метелки, проникают под обертку и выгрызают зерна на початках.
Чтобы оградить растения от хлопковой совки, необходимо как можно раньше высаживать семена, чтобы избежать развития личинок до периода технической зрелости культуры. Также не помешает однократная обработка растений химическими препаратами.
Личинки жуков-щелкунов или проволочников повреждают не только стебли растений, но также семена и корневую систему. У семян остается лишь оболочка, в стеблях проволочники оставляют круглые отверстия, а на корнях образуются язвы.Если весной тщательно перекопать или перепахать землю, удаляя корневища сорняков, большая часть личинок проволочника погибнет. Но не стоит забывать и о том, что даже на окультуренных плодородных почвах нужно проводить севооборот.
Ни в коем случае нельзя выращивать кукурузу на одном и том же участке несколько дней подряд, иначе потом сложно будет избавиться от личинок проволочника.
Заболеваний у кукурузы много, но самыми опасными болезнями являются фузариоз, пузырчатая и пыльная головня, болезни початков и семян, а также вирусные заболевания.
Фузариоз всходов кукурузы – грибное заболевание, его возбудители – грибы рода Fusarium. У пораженных растений корни и листва буреют и загнивают. Болезнь опасна тем, что может протекать в скрытой форме, когда всходы резко загнивают и гибнут.
Фузариоз развивается в неблагоприятных условиях выращивания и хранения кукурузы, развитию болезни способствуют высокая влажность воздуха и резкие колебания температуры.
Борьба с фузариозом включает в себя севооборот, обеззараживание и протравливание семян, соблюдение сроков посева и уборки. После убора початки нужно просушивать, а при хранении не допускать высокого уровня влажности воздуха.
Пузырчатая и пыльная головня – также грибные заболевания. Пузырьковая головня поражает все растение – листву, стебли, початки и метелки, а пыльная головня – початки и метелки кукурузы.
У больных растений появляются вздутия разной формы, меняющие свой окрас. Со временем вздутия трескаются, а из трещин вытекает темная жидкость. Женские и мужские цветки могут разрушать либо частично, либо полностью.
В борьбе с этими болезнями важно проводить севооборот, а также проводить тщательный отбор и сортировку семян. Семена обязательно нужно протравливать и обеззараживать
Необходимо четко соблюдать сроки посева и уборки, а также регулярно вносить фосфорно-калийные удобрения.
Система минерального питания сахарной кукурузы
В начале вегетативного периода корневая система кукурузы слабо развита. Она находится целиком на верхней поверхности грунта. Она плохо впитывает вещества, которые находятся в глубоких слоях почвы, поэтому рекомендуется использовать жидкие растворы.
Также вносят органические удобрения в виде навоза. Эти процедуры проводят осенью, после выбора участка для посадки. Навоз применяют в дозе 40-50 кг/га, а известняк 8 т/га.
Минеральные удобрения вносят послойно. Для каждого отдельного элемента норма равна 120кг/га. Подкормки разделяют на три периода. Удобрения заделывают на глубину 10-15 см. Используют карбамид, суперфосфат, нитроаммофоску, калийную соль. Первое удобрение проводят весной до начала посадки.

Вторую подкормку используют после посева семян. Минеральные комплексы заделывают на глубину посадки семян. На 1 га земли используют по 10-15 кг каждого элемента.
Последнюю подкормку проводят после формирования 5-6 настоящих листьев. Используют азотные и фосфорные составы. Норма составляет 25-30 кг/га каждого элемента. В этот же период вносят минеральные комплексы с содержанием цинка, марганца, бора и меди.
Борьба с вредителями и болезнями
Жуки-черныши и всевозможные виды проволочников – самые большие вредители кукурузы. Личинки этих насекомых могут повреждать проростки и корни. Борьба с ними проводится с помощью инсектицидных препаратов, у которых долгое системное действие.
Стеблевой мотылек повреждает листья и початки кукурузы. Чтобы избавиться от него, нужно разбросать трихограму с малой авиации или мотодельтаплане.
- В первый раз 100тис/га, когда кукуруза начинает цвести.
- Второй 200тис/га, когда начинают образовываться зерна в початках.
Внимание! Химические средства более эффективны. Каратэ или Дэцис 0,1л/га и Би-58 или Данадим 1л/га помогают справиться с вредителями
Но это не безопасно в экологическом плане и намного дороже.
При высадке кукурузы на одном и том же месте более двух лет подряд, ее могут поразить такие болезни как:

- пузырчатая головня;
- поражение гнилями стебля корня.
В початках кукурузы могут накопиться такие вредители, как бабочки и серый долгоносик.
Чтобы избежать встречи с этими болезнями и вредителями, необходимо регулярно опрыскивать растения гербицидами, которые растворяются в воде.
Виды удобрений
В разных регионах почвы отличаются структурой, а значит и содержанием основных микроэлементов. В степном черноземном регионе кукуруза страдает от недостатка фосфора и азота. Предпосевного внесения бывает недостаточно, они быстро вымываются из почвы и к началу цветения их недостаточно для полноценного развития растений.

В течение всего сезона нужно вносить удобрения под кукурузу. Практикуют минеральные и органические подкормки. Приоритетом пользуется органическое питание. Современная система удобрения кукурузы содержит определенные нормы внесения любых видов питательных смесей. На сегодняшний день действуют следующие пропорции внесения органики:
- черноземные земли — от 15 до 20 т/га;
- дерново-подзолистые почвы — от 20 до 35 т/га;
- серые лесные земли — от 20 до 35 т/г.


Влияние удобрений на урожайность кукурузного поля ощутимо. Отмечено, что внесение навоза в объеме 30 кг способно повысить урожайность на 3–10 ц/га. Навоз используют для приготовления настоя, он нужен для полива кукурузы. Настаивают его от 3 до 5 суток. В бочку нужно загрузить 10 кг коровяка и дополнить ее 50 литрами воды.
Через 5 дней процесс приготовления заканчивается. Настой коровяка перед применением разводят водой: к 1 литру концентрированной жидкости добавляют 1 л воды. При использовании коровка есть недостатки:
- длинные тонкие стебли;
- после полива на почве образуется корка.

Чтобы исключить эти недостатки, корректируют норму внесения в зависимости от состава почвы. Навоз рекомендуют вносить на суглинистые почвы в дозе 30–40 т/га осенью под вспашку. В песчаные почвы органику вносят весной во время культивации.
В жидком навозе есть весь набор нужных кукурузе микроэлементов. Норма его внесения — 60–80 т/га. При внесении любой формы органического удобрения (жидкой, твердой) проводят его равномерное распределение по всей поверхности поля с одновременной заделкой в землю.

Минеральные удобрения
Применение минеральных препаратов положительно влияет на урожай, повышает устойчивость к болезням и плохим погодным условиям.
Азотные
В качестве азотного удобрения используют аммиачную селитру. Вносят весной под вспашку половину нормы (50%), вторую половину аммиачной селитры используют летом в качестве подкормки. Первый раз проводят летнюю подкормку в фазе первых 5 листьев, вторую — в период формирования початков.

О нехватке азота узнают по окраске листьев. Они становятся тонкими и теряют окраску: бледнеют, желтеют. Признак дефицита хорошо устраняет аммиак. На практике у фермеров и дачников применяется листовая подкормка кукурузы: используют для этой цели аммиачную воду.
Нарушение норм внесения азота при удобрении кукурузы на силос негативно сказывается на его качестве:
- увеличивается процентное содержание нитратов в зерне;
- снижается процент сухого вещества;
- формируются початки.

Калийные и фосфорные удобрения
Эти виды удобрений вносят осенью на глинистую, а весной – в песчаную почву. Фосфор с помощью специальных устройств вносят при посеве. Суперфосфат — классическое фосфорное удобрение, которое вносят в почву. Помимо суперфосфата, широко применяют аммофос. Норма внесения этих удобрений в почву 8–12 кг/га.
Высокий уровень фосфора в почве имеет положительные моменты:

- повышает качество силоса;
- улучшает холодостойкость;
- ускоряет вызревание початков.
При плохих погодных условиях (низких среднесуточных температурах) растет потребления калия кукурузой. Внесение калийных удобрений снижает стресс от холодной погоды, повышает урожайность. В початках, благодаря калию, растет процент сахаров и крахмала, у них улучшаются вкусовые качества.

Признаки калийного дефицита:
- волнообразные края листьев;
- темно-зеленая окраска листовой пластины;
- светлые кончики листьев, которые со временем становятся коричневыми.
В фазе 6–7 листьев под кукурузу вносят 0,5 кг/га калийных удобрений (калийную соль). Под осеннюю вспашку вносят хлористый калий.


Влага для рассады
Кукуруза очень чувствительна к влаге, и поэтому растение нельзя мучить жаждой с самого момента высева семян. Но и «замокания» почвы допустить тоже нельзя. Почвосмесь под рассаду должна быть постоянно влажной. Для этого накануне высева в субстрат надо добавлять аквасорб (специальный гидрогель). Он регулирует влажность, его набухшие кристаллы сначала впитывают, а потом отдают влагу молодым росткам. Частоту поливов при использовании гидрогеля можно уменьшить в 3-5 раз.
Но заметьте, что речь идет о выращивании рассады кукурузы. Для этого используются специальные кассеты, которые надо снабдить подставками, чтобы корни кукурузы через отверстия дренажа не достали почву. Иначе они «ухватятся» за нее, и при перенесении ростков из кассет придется травмировать корневую систему. Повреждения снизят приживаемость, вероятны отставание в росте и растягивании сроков плодоношения. А ведь каждый огородник рассчитывает на ранний урожай.
Посев семян для рассады обычно ведут в начале апреля под пленку, в теплицах, но без искусственного обогрева. Заделав кукурузинки в ячейки, кассеты проливают теплой водой. В нее можно добавить марганцовки, так чтобы раствор имел бледно-розовый цвет. Марганцовка поможет обеззараживанию почвы от болезнетворных микроорганизмов. Если вы предварительно замочите семена в теплой воде, и они проклюнутся, то всходы получите на целую неделю раньше. Специалисты установили, что семенам кукурузы и необходимая влага для прорастания имеют пропорцию объемов 1:400. Вот почему замачивание семян «расшевеливает» их инстинкт к прорастанию. Для замачивания подойдет совсем теплая вода 22-25 градусов, положите в нее кукурузины на 12 часов.
Что усваивают листья
Листовая подкормка калием неэффективна и экономически невыгодна из-за недостаточного и медленного усвоения через листву. Калий усваивается в 21 раз медленнее, чем азот, из раствора карбамида и в 15 раз медленнее, чем магний. Темпы листового усвоения калия (необходим в больших количествах) значительно ниже, чем микроэлементов (микроколичества). Ему сложнее проходить сквозь кутикулу листьев. Это связано с тем, что ион калия (К+) в два раза крупнее, чем ион меди (Сu+) и магния (Мg2+). Катионы калия составляют 2,66 А, а магния (Мg2+) – лишь 1,30 А, меди (Сu2+) – 1,38 А. Имеются данные о целесообразности листового внесения калия только в сухую погоду для поддержания тургора клеток листков.
Еще менее эффективна листовая подкормка фосфором, который поглощается листвой в 30 раз медленнее, чем азот из раствора карбамида. Причина – сильно затрудненное проникновение фосфора через кутикулу листка. Ион Н2РО4 составляет 9,97 А, что в 7,6 раза больше, чем ион магния, и в 7,2 раза больше иона меди. Кроме того, если фосфор содержится в большом количестве в удобрениях для листового внесения, это приводит к выпадению осадка и забиванию распылителей в опрыскивателях.
Таким образом, количество усвоенного через листья калия и фосфора сравнительно с его общей нормой очень мало. Эти два макроэлементы не вымываются из грунта и доступны растению в течение вегетации. Поэтому нет большой потребности в их листовом внесении.
Листовое удобрение азотом особенно эффективно на здоровых растениях, хорошо обеспеченных другими элементами питания. Наилучший из азотных удобрений для листовой подкормки карбамид. В удобрении содержится наиболее усвояемая форма азота – амидная, которая быстро проникает через листовую поверхность. Листовую подкормку карбамидом целесообразно сочетать с внесением серы и магния (МgО4 х Н2О), микроэлементов и (или) пестицидов. В результате уменьшается стрессовое влияние средств защиты растений на культурное растение, повышается эффективность их действия. Объем рабочего раствора при этом должен быть не менее 200-250 л/га, обязательно перед опрыскиванием следует провести тестирование на небольшом участке.
Опрыскивать посевы рекомендуется в облачную погоду, при низких температурах (не выше 20 °С) и хорошей влажности грунта, лучше всего вечером или утром. Удобрение карбамидом можно осуществлять практически при всех опрыскиваниях фунгицидами и инсектицидами, если нет предостережений в регламенте применения пестицидов. Добавление к рабочему раствору карбамида повышает пропускную способность кутикулы листков, что способствует проникновению в растение пестицидов, усиливает их эффективность, облегчает усвоение через листву других элементов питания.
Для листовой подкормки допускается также использование аммиачной селитры. Концентрация не должна превышать 5-6%, т.е. в 100 л воды растворяют 5-6 кг удобрения. Увеличение концентрации рабочего раствора служит причиной ожогов у растений. Листовую подкормку раствором аммиачной селитры рекомендуется проводить при температуре воздуха не выше 20 °С, что предотвращает угнетение растений. Лучше вносить после снижения температуры и уменьшения солнечной инсоляции в вечерние часы.
Магний очень хорошо поглощается листьями. Он в 10,4 раза быстрее усваивается сравнительно с калием и в 15 раз быстрее, чем фосфор. В 2-3 раза ускоряется сорбция магния через листья, если вносить его одновременно с карбамидом.
Сернокислый магний является важным удобрением в современных технологиях выращивания сельскохозяйственных культур для решения проблемы быстрой компенсации недостатка магния и серы.
Обработка почвы
- Осенью нужно провести вспашку на 25-30 см. Это один из самых простых и распространенных вариантов базовой обработки почвы.
- Если почва сильно загрязнена сорняками, то за две недели до обработки нужно провести опрыскивание. Возьмите Раундап 2-3 л/га и 2,4Д аминная соль 1 л/га.
- Весной, для того, чтобы избежать излишней влажности, нужно провести боронование тяжелыми зубовыми боронами.
- Обработку почвы перед посевом следует проводить на глубину посева. Внесите в землю комплексное удобрение. При необходимости используйте почвенные гербициды.
Важно! Земля готова к посеву, когда глубина обработки одинаковая на всем поле, комки от 10 до 50 мм занимают 80% от общей площади поля, а комков свыше 100мм нет совсем












































